Bauleitplanung der Gemeinde Gilserberg 4. Änderung des Bebauungsplanes Nr. 7 „Im Entenpfuhl“ im Ortsteil Gilserberg
Bekanntmachung der Gemeinde Gilserberg
Hier:
Bekanntmachung des Aufstellungsbeschlusses gemäß § 2 Abs. 1 Baugesetzbuch (BauGB)
Die Gemeindevertretung der Gemeinde Gilserberg hat in ihrer Sitzung am 05.11.2024 die Aufstellung der 4. Änderung des Bebauungsplanes Nr. 7 „Im Entenpfuhl“ im Ortsteil Gilserberg beschlossen.
Ziel und Zweck der Änderung des Bebauungsplanes ist die Änderung der Bebauungsgrenze zur Vergrößerung eines Gewerbebetriebes.
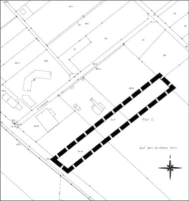
Der Geltungsbereich umfasst die Flurstücke Gemarkung Gilserberg, Flur 11 Nr. 24/3, 25/3 und 25/4 und ist der beiliegenden Übersichtskarte zu entnehmen.

Gilserberg, den 02. April 2025
Der Gemeindevorstand
der Gemeinde Gilserberg
gez. Daum, Bürgermeister